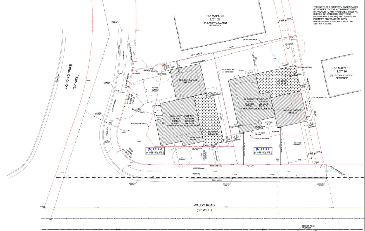
Welcome to 738 Sobrato Drive! Situated on a spacious 10,215 sq ft corner lot in a highly desirable Campbell neighborhood, this beautifully updated single-story home offers bright, sun-filled living with hardwood floors, fresh paint, high ceilings, and a striking double-sided fireplace. The modern kitchen features quartz countertops and a breakfast bar, while the resort-style backyard showcases a Trex deck, pergola, fire pit, outdoor shower, custom pool with Baja shelf, hot tub, and rock waterfall. Additional highlights include updated bathrooms, a two-car garage with workbench, RV/boat parking, and a generous side yard. SB9 design plans have been prepared and are ready for submission, offering exciting future possibilities. Conveniently located near downtown Campbell, The Pruneyard, shopping, dining, and major commute routes. Buyer to verify development potential and regulations with the City of Campbell.
MLS #
ML82022343
MLS Source
MLSListings, Inc.
Days on Site
1
Bedrooms
Primary Bedroom on Ground Floor
Bathrooms
Granite, Shower and Tub, Tile, Tub
Kitchen
Exhaust Fan
Appliances
Cooktop - Gas, Dishwasher, Exhaust Fan, Garbage Disposal, Oven - Built-In, Refrigerator
Dining Room
Dining Area
Family Room
Kitchen/Family Room Combo
Fireplace
Living Room
Flooring
Hardwood, Tile
Laundry
In Garage
Cooling
Ceiling Fan
Heating
Central Forced Air
Roof
Composition
Foundation
Slab
Style
Ranch, Traditional
Garage/Parking
Attached Garage, Garage: 2 Car(s)
Elementary District
Campbell Union Elementary
High School District
Campbell Union High
Sewer
Public Sewer
Water
Public
Zoning
R-1-6
Listing Agent
Mona Wang
Mona Real Estate Group
License #: 02097097
Phone: (650) 709-6676
Co-Listing Agent
Celia Zhao
Mona Real Estate Group
License #: 02055694
Phone: (408) 391-2770
738 Sobrato Dr is a Single Family Residence in Campbell, CA 95008. This 1,375 square foot property sits on a 9,652 Sq Ft Lot and features 3 bedrooms & 2 full bathrooms. It is currently priced at $2,680,000 and was built in 1963. This address can also be written as 738 Sobrato Dr, Campbell, CA 95008.
©2026 MLSListings Inc. All rights reserved. All data, including all measurements and calculations of area, is obtained from various sources and has not been, and will not be, verified by broker or MLS. All information should be independently reviewed and verified for accuracy. Properties may or may not be listed by the office/agent presenting the information. Information provided is for personal, non-commercial use by the viewer and may not be redistributed without explicit authorization from MLSListings Inc.
Presently MLSListings.com displays Active, Contingent, Pending, and Recently Sold listings. Recently Sold listings are properties which were sold within the last three years. After that period listings are no longer displayed in MLSListings.com. Pending listings are properties under contract and no longer available for sale. Contingent listings are properties where there is an accepted offer, and seller may be seeking back-up offers. Active listings are available for sale.
This listing information is up-to-date as of February 20, 2026. For the most current information, please contact Mona Wang, (650) 709-6676