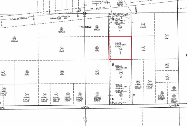
Huge land parcel for a great price! Just under 10 acres of land in the Llano area! This parcel is not far from the Pearblossom Hwy/Palmdale Rd junction, which makes this a nice central location between Palmdale and Victorville. It's also close to Ave U, which is a major street that helps to reach Pearblossom Hwy. This parcel is very close to the Grey Butte Airport, multiple farms, and multiple wildlife preservations. Per the county parcel map (attached to listing), the west side of this parcel is designated for a future street, which is believed to be 250th St E. This would mean that easements won't be necessary to access the land. This property is a great location for someone looking for a large land parcel in LA County close to Pearblossom Hwy, while also being secluded and off the grid. This may be a great location to camp, go off-roading, install a mobile home, build a house, or start a small farm. Great long-term investment, as well. Don't miss out!
MLS #
CRSR26035445
MLS Source
California Regional MLS
Days on Site
5
Horse Property
Yes
HOA Fee
$0
Zoning
HP, LZ
0 250th St E/North of Ave U is in Palmdale, CA 93591. This Land is currently priced at $34,900. This address can also be written as 0 250th St E/North of Ave U, Palmdale, CA 93591.
©2026 California Regional MLS. All rights reserved. All data, including all measurements and calculations of area, is obtained from various sources and has not been, and will not be, verified by broker or MLS. All information should be independently reviewed and verified for accuracy. Properties may or may not be listed by the office/agent presenting the information. Information provided is for personal, non-commercial use by the viewer and may not be redistributed without explicit authorization from California Regional MLS.
Presently MLSListings.com displays Active, Contingent, Pending, and Recently Sold listings. Recently Sold listings are properties which were sold within the last three years. After that period listings are no longer displayed in MLSListings.com. Pending listings are properties under contract and no longer available for sale. Contingent listings are properties where there is an accepted offer, and seller may be seeking back-up offers. Active listings are available for sale.
This listing information is up-to-date as of February 17, 2026. For the most current information, please contact Mark Mestepey