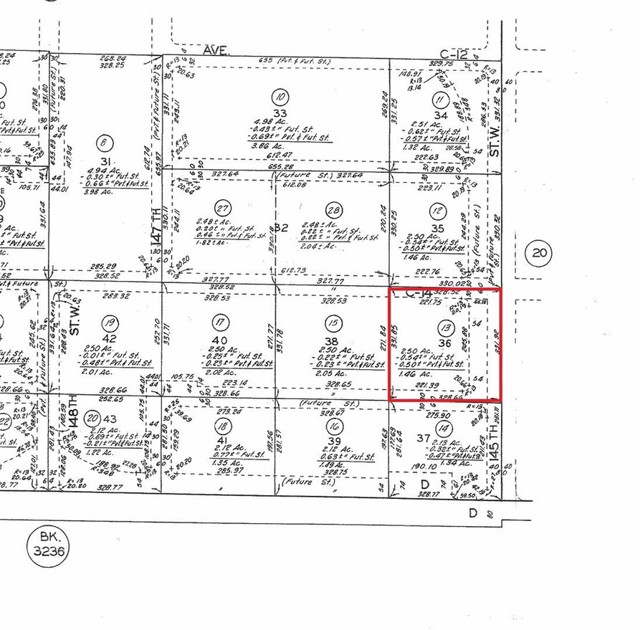
Affordable land parcel in the western Antelope Valley, with a close-in location! This land parcel is believed to have access easements for future streets on 2 sides of the property, representing 145th St W and W Ave C-14 (see attached parcel map-buyer to verify). This would then allow for the future owner of this land parcel to access and utilize the land without any easements. This parcel is only 1 parcel over from Ave D/Hwy 138, and there are powerlines running along the street. This land is in a scenic area of rolling plains and ranch homes. The location is great, as it's very close to Antelope Acres and not a far drive from Lancaster. The time spent on dirt roads would be minimal. This may be a great location to camp, go off-roading, install a mobile home, build a house, store trucks, or start a small farm. This is a great opportunity to acquire a land parcel on the westside at an affordable price, and it may be a good long-term investment due to its proximity to Hwy 138 and the future streets. Don't miss out!
MLS #
CRSR26033422
MLS Source
California Regional MLS
Days on Site
1
Horse Property
Yes
HOA Fee
$0
Zoning
HP, LZ
0 Corner W Ave C14/145th St W is in Lancaster, CA 93536. This Land is currently priced at $19,900. This address can also be written as 0 Corner W Ave C14/145th St W, Lancaster, CA 93536.
©2026 California Regional MLS. All rights reserved. All data, including all measurements and calculations of area, is obtained from various sources and has not been, and will not be, verified by broker or MLS. All information should be independently reviewed and verified for accuracy. Properties may or may not be listed by the office/agent presenting the information. Information provided is for personal, non-commercial use by the viewer and may not be redistributed without explicit authorization from California Regional MLS.
Presently MLSListings.com displays Active, Contingent, Pending, and Recently Sold listings. Recently Sold listings are properties which were sold within the last three years. After that period listings are no longer displayed in MLSListings.com. Pending listings are properties under contract and no longer available for sale. Contingent listings are properties where there is an accepted offer, and seller may be seeking back-up offers. Active listings are available for sale.
This listing information is up-to-date as of February 13, 2026. For the most current information, please contact Mark Mestepey