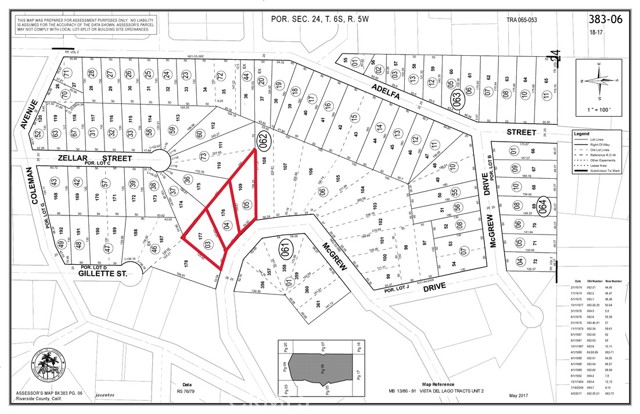
RARE LOCATION | LAKE VIEWS | DEVELOPMENT OPPORTUNITY | Unlock an exceptional opportunity in the heart of Lake Elsinore with this rare offering of three contiguous parcels (APN: 383062003, 383062004, 383062005), perfectly positioned to capture stunning lake views and endless potential. Zoned R-1, this combined property presents an ideal canvas for builders, developers, or investors looking to create a thoughtfully designed residential project in a rapidly growing area. Perched to take advantage of scenic vistas, the land offers the chance to design homes that embrace the natural beauty of Lake Elsinore, delivering the lifestyle today’s buyers are seeking—peaceful surroundings paired with convenient access to everyday amenities. While no road access currently or utilities at site, utilities and roads are nearby, helping streamline the development process and making this an even more compelling investment. The Plat Map envisions an extension to the existing McGrew Drive with road frontage for all 3 lots. Located just minutes from local schools, parks, shopping centers, and recreational opportunities at the lake, future residents will enjoy both comfort and convenience. With the Lake Elsinore Outlets approximately 7 miles away, dining, retail, and entertainment are always within easy
MLS #
CRIG26066619
MLS Source
California Regional MLS
Days on Site
1
Fencing
None
HOA Fee
$0
Zoning
TRE, LV
0 Mcgrew Dr is in Lake Elsinore, CA 92530. This Land is currently priced at $100,000. This address can also be written as 0 Mcgrew Dr, Lake Elsinore, CA 92530.
©2026 California Regional MLS. All rights reserved. All data, including all measurements and calculations of area, is obtained from various sources and has not been, and will not be, verified by broker or MLS. All information should be independently reviewed and verified for accuracy. Properties may or may not be listed by the office/agent presenting the information. Information provided is for personal, non-commercial use by the viewer and may not be redistributed without explicit authorization from California Regional MLS.
Presently MLSListings.com displays Active, Contingent, Pending, and Recently Sold listings. Recently Sold listings are properties which were sold within the last three years. After that period listings are no longer displayed in MLSListings.com. Pending listings are properties under contract and no longer available for sale. Contingent listings are properties where there is an accepted offer, and seller may be seeking back-up offers. Active listings are available for sale.
This listing information is up-to-date as of April 07, 2026. For the most current information, please contact Kelly McLaren