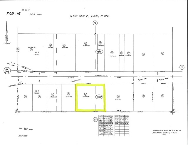
Undeveloped Land Near I-10 | Estate Zoning | Long-Term Investment Approximately 21.07 acres (±917,809 sq ft) of vacant land located on a road running parallel to Interstate 10, positioned between Thermal and Chiriaco Summit, California. While not directly fronting the freeway, the property benefits from close proximity to I-10, providing regional access without direct highway exposure. The parcel is currently zoned for approximately 10-acre estate parcels, offering flexibility for a variety of long-term hold or estate-style development strategies, subject to buyer verification and local approvals. Situated within the broader Salton Sea region, the area continues to see attention related to infrastructure planning and evolving industrial activity. The land is undeveloped, with no utilities on site. Buyers are advised to perform all independent due diligence regarding zoning, access, utilities, and future land use. A rare opportunity to acquire a sizable acreage holding with estate zoning in a strategic desert corridor. BRING ALL OFFERS.
MLS #
CRIG26011939
MLS Source
California Regional MLS
Days on Site
16
Fencing
None
HOA Fee
$0
Zoning
D5, LV
0 Hwy 10 is in Desert Center, CA 92236. This Land is currently priced at $79,000. This address can also be written as 0 Hwy 10, Desert Center, CA 92236.
©2026 California Regional MLS. All rights reserved. All data, including all measurements and calculations of area, is obtained from various sources and has not been, and will not be, verified by broker or MLS. All information should be independently reviewed and verified for accuracy. Properties may or may not be listed by the office/agent presenting the information. Information provided is for personal, non-commercial use by the viewer and may not be redistributed without explicit authorization from California Regional MLS.
Presently MLSListings.com displays Active, Contingent, Pending, and Recently Sold listings. Recently Sold listings are properties which were sold within the last three years. After that period listings are no longer displayed in MLSListings.com. Pending listings are properties under contract and no longer available for sale. Contingent listings are properties where there is an accepted offer, and seller may be seeking back-up offers. Active listings are available for sale.
This listing information is up-to-date as of January 19, 2026. For the most current information, please contact Christine Cali