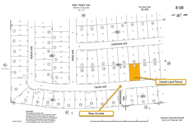
Buildable and below market value! Salton City is strategically located in the Imperial Valley, known for its thriving agricultural and renewable energy industries. With the potential for future growth and development, investing in this vacant land offers a chance to be part of the area's expanding economy. This remarkable 0.31 Acres of vacant land is located at 2754 Tahoe Ave, Thermal, CA 92274. This parcel is Zoned R-1 Residential and it offers the opportunity for investors, owners, or retirees to immerse in tranquility. Whether you envision developing the land for your home, exploring potential resale value, or for tourism & recreational purposes, this property offers tremendous potential to tap into the region's tourism industry. The nearby Salton Sea also attracts tourists and visitors interested in water-based and outdoor recreational activities. It’s also situated near major transportation routes, including Highway 86, and you’re 40 minutes from cities like Indio, Coachella, and Brawley. Take advantage of its affordable pricing and attractive entry point if you are considering development options or long-term appreciation. Imagine waking up to panoramic views and basking in the warm California sun from your very own backyard. This expansive l
MLS #
CRDW23111880
MLS Source
California Regional MLS
HOA Fee
$0
Zoning
DESF
2754 Tahoe Ave is in Thermal, CA 92274. This Land is currently priced at $11,305. This address can also be written as 2754 Tahoe Ave, Thermal, CA 92274.
©2025 California Regional MLS. All rights reserved. All data, including all measurements and calculations of area, is obtained from various sources and has not been, and will not be, verified by broker or MLS. All information should be independently reviewed and verified for accuracy. Properties may or may not be listed by the office/agent presenting the information. Information provided is for personal, non-commercial use by the viewer and may not be redistributed without explicit authorization from California Regional MLS.
Presently MLSListings.com displays Active, Contingent, Pending, and Recently Sold listings. Recently Sold listings are properties which were sold within the last three years. After that period listings are no longer displayed in MLSListings.com. Pending listings are properties under contract and no longer available for sale. Contingent listings are properties where there is an accepted offer, and seller may be seeking back-up offers. Active listings are available for sale.
This listing information is up-to-date as of August 19, 2023. For the most current information, please contact Bhakta Thapa