---
listing_id: ML82032333
status: Active
price: 4850000
beds: 0
baths_full: 0
baths_half: 0
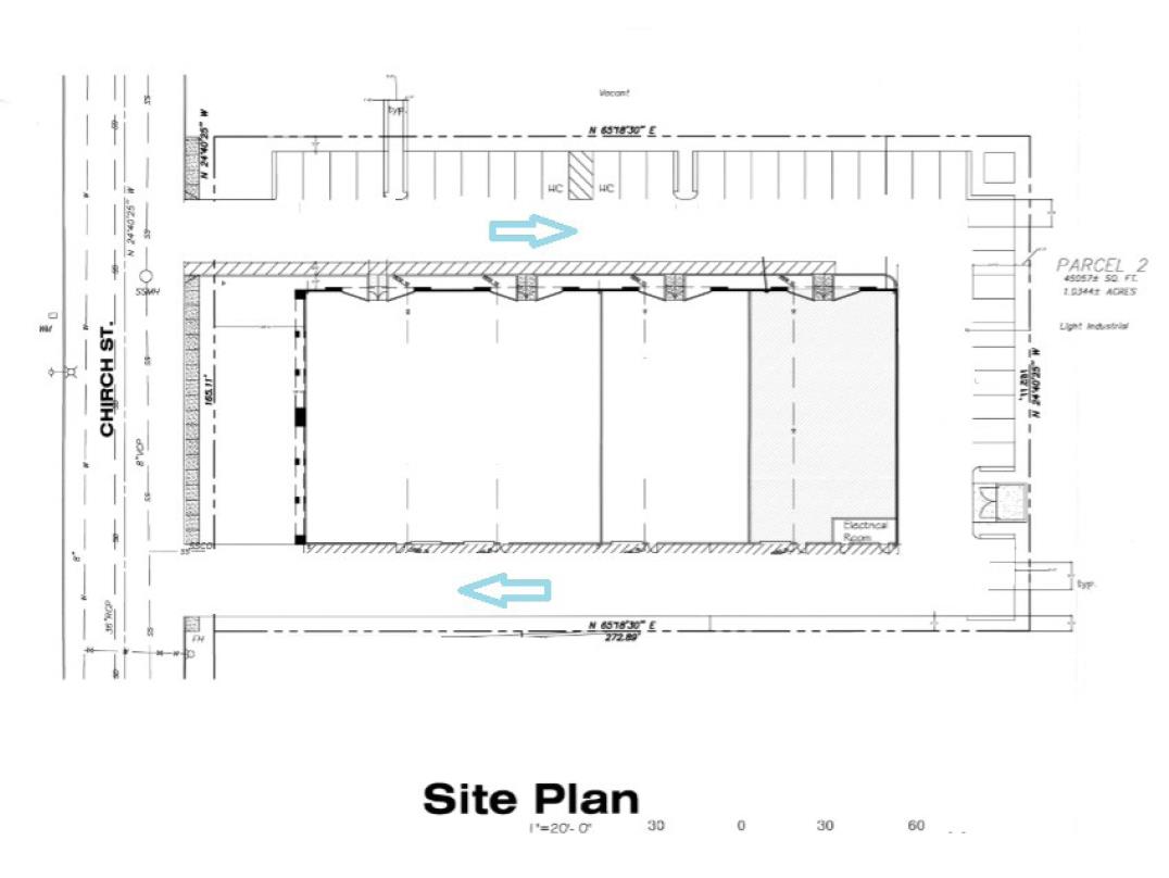
sqft_living: 16832
sqft_lot: 44866
lot_acres: 
year_built: 2001
property_type: Commercial Sale
property_subtype: 
address: "16260 Church St"
city: Morgan Hill
state: CA
zip: 95037
county: "Santa Clara County"
lat: 37.117375
lng: -121.642281
days_on_market: 119
hoa_fee: 
hoa_frequency: 
garage_spaces: 0
list_agent: "Christian Renz"
list_office: "Renz & Renz"
list_agent_phone: "(408) 846-1031"
list_agent_license: 01911413
mls_source: MLSL
modified: 2026-05-07
transaction_type: buy
---

Home | Santa Clara County | Morgan Hill | 95037 | 16260 Church St

16260 Church St, Morgan Hill, CA 95037

MLS: ML82032333 | Status: Active | Price: $4,850,000
Beds/Baths: – / –
Property Type: Commercial Sale

Quick Facts

Beds Baths Sq Ft Sq Ft Lot Yr Built
16,832 44,866 2001

Remarks

$300,000 Price Improvement! Discover a truly unique industrial opportunity at 16260 Church St, Morgan Hill, Ca. This quality multi-tenant industrial facility is positioned for strategic use and income for decades to come. The property was originally designed with the ability to operate as 4 separate units but is currently 3 self-sustained units. USERS & INVESTORS With Sempera Organics lease expiring in May 2026 owner/users can occupy approx. half of the building. Investors can also see significant upside in lease up opportunities at significantly higher rents than currently realized. LOCATION SUMMARY Morgan Hill is a vibrant city in Santa Clara County located in South Silicon Valley, just 10 miles south of San Jose. Morgan Hills ideal location offers residents and visitors a vibrant Downtown, year-round outdoor recreational activities, including cycling, golfing, swimming, and boating. Income and Expense is Projected.

MLS Listing Information

Field Value
MLS # ML82032333
MLS Source MLSListings, Inc.
Days on Site 119

Features

Interior Features

Feature Details
Cooling Central Forced Air, Central Forced Air - Gas
Heating Central Forced Air, Central Forced Air - Gas, Other

Exterior Features

Feature Details
Roof Flat
Foundation Slab

Parking, School, and Other Information

Feature Details
Sewer Public Sewer
Water Public
Zoning ML

Commercial Information

Feature Details
Parking Spaces 37
Present Use Manufacturing
Utilities Public Utilities, Water - Public

Contact Information

Christian Renz
Renz & Renz
License #: 01911413
Phone: (408) 846-1031

School Ratings

School data provided by GreatSchools.org

Nearby Schools

School Type Grades Distance Rating
Barrett Elementary School public K-5 0.73 mi 4
Paradise Valley/Machado Elementary School public K-5 0.77 mi 8
Lewis H. Britton Middle School public 6-8 1.26 mi 7
P. A. Walsh Elementary School public K-5 1.31 mi 4
El Toro Elementary School public K-5 1.34 mi 5
Nordstrom Elementary School public K-5 1.51 mi 8
Community Adult public UG 1.58 mi N/A
Live Oak High School public 9-12 2.14 mi 8
Jackson Academy Of Music And Math (Jamm) public K-8 2.52 mi 8
San Martin/Gwinn Elementary School public K-8 2.66 mi 3
Ann Sobrato High School public 9-12 3.24 mi 10
Central High (Continuation) School public 10-12 3.29 mi 4

Disclosures

©2026 MLSListings Inc. All rights reserved. All data, including all measurements and calculations of area, is obtained from various sources and has not been, and will not be, verified by broker or MLS. All information should be independently reviewed and verified for accuracy. Properties may or may not be listed by the office/agent presenting the information. Information provided is for personal, non-commercial use by the viewer and may not be redistributed without explicit authorization from MLSListings Inc.

Presently MLSListings.com displays Active, Contingent, Pending, and Recently Sold listings. Recently Sold listings are properties which were sold within the last three years. After that period listings are no longer displayed in MLSListings.com. Pending listings are properties under contract and no longer available for sale. Contingent listings are properties where there is an accepted offer, and seller may be seeking back-up offers. Active listings are available for sale.

This listing information is up-to-date as of May 07, 2026. For the most current information, please contact Christian Renz, (408) 846-1031.